The web Browser you are currently using is unsupported, and some features of this site may not work as intended. Please update to a modern browser such as Chrome, Firefox or Edge to experience all features Michigan.gov has to offer.
The Corner
The Corner
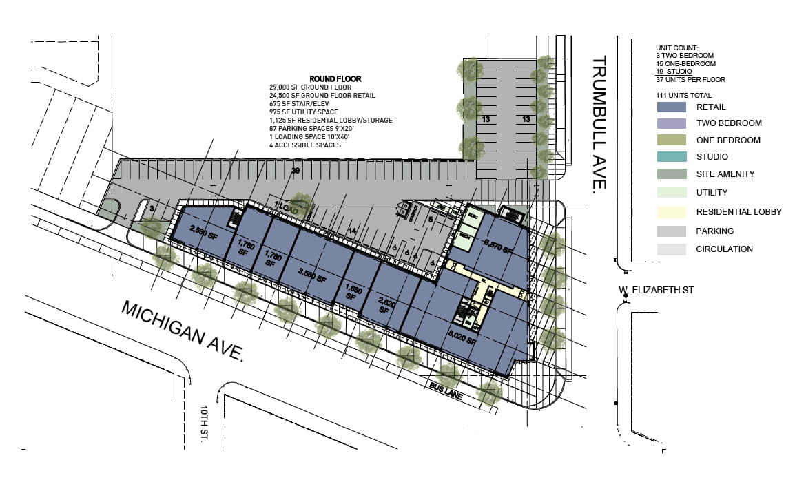
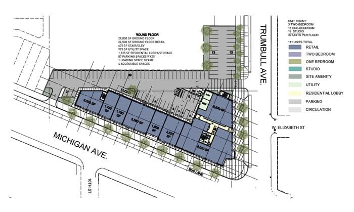
The Corner, in Detroit's Corktown neighborhood is the old Tiger Stadium site. It was sold to Eric Larson, founder, president, and CEO of Larson Realty Group and also with Urban Land Institute – Michigan. This is the site of many moments of historical interest including Babe Ruth's 700th home run, Joe Louis' defending his heavyweight crown, and a Nelson Mandela rally shortly after his release from prison. All that on top of world championships by the Detroit Lions and Tigers. The new development includes condos, apartments, and subsidized commercial space for Detroit-based businesses. The apartments feature a modular building method.
Project details
- Developer: Eric Larson
- Location: Detroit
