The web Browser you are currently using is unsupported, and some features of this site may not work as intended. Please update to a modern browser such as Chrome, Firefox or Edge to experience all features Michigan.gov has to offer.
U.S. Army Garrison - Detroit Arsenal (Warren, Macomb)
Please contact the Site Lead for the most up-to-date status of this site.
EGLE site lead
Beth Place, PlaceB1@Michigan.gov or (517) 899-7524.
Background
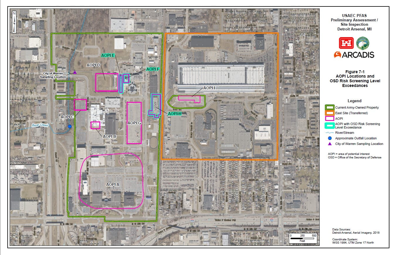
The U.S Army Garrison (USAG) - Detroit Arsenal is located at 6501 East Eleven Mile Road in Warren and is an active military installation and currently consists of approximately 100 acres. Under the 2005, Based Realignment and Closure (BRAC) decision, the USAG formerly at Selfridge was moved to Detroit Arsenal. USAG - Detroit Arsenal is the western portion, devoted to administrative and research activities, of a once 352‑acre facility that was the headquarters for the U.S. Army Tank-automotive and Armaments Command, a major subordinate command of the U. S. Army Materiel Command. The USAG - Detroit Arsenal is located adjacent (across the railroad right of way) to the former Detroit Arsenal Tank Plant (DATP) BRAC Property, which was devoted to tank production, retrofitting, and support activities. The DATP closed in 1996, through the 1995 BRAC decision. US Army BRAC will complete a separate Preliminary Assessment (PA)/Site Inspection (SI) in the future.
On September 26, 2022, the Army provided a June 2022 CERCLA PA/SI report to EGLE. This report identifies several places on-site where aqueous film forming foams (AFFF) were known or suspected to be used, some of which likely contained PFAS. It also includes results of groundwater sampling, showing the highest groundwater sample in Area of Potential Interest (AOPI) H had 6,400 ppt PFOS, 3,600 ppt PFOA and 5,300 ppt PFBS. Of the three samples taken over a three-year period at the City of Warren Municipal Separate Stormwater Sewer System discharge point (sewer manhole), the highest results were PFOS at 60 ppt, PFOA at 32 ppt, and PFBS at 10 ppt.
EGLE Water Resources Division (WRD) issued a compliance communication to USAG - Detroit Arsenal requiring that a PFAS Short-Term Storm Water Characterization Study be conducted to evaluate storm water discharges from the site. This requirement is in response to the PA/SI identifying different PFAS analytes at elevated concentrations in groundwater, soil, and wastewater discharges that EGLE has determined have a high potential to be present in storm water discharges.
Groundwater is found between five and 15 feet and flows towards the north-northeast. This aquifer is not used for drinking water.
Content posted April 2023.
Drinking water
Drinking water wells near the site have been evaluated by MDHHS and EGLE and both agencies concluded that no residential wells were located near the site. Most drinking water is supplied by the City of Warren.
Anticipated activities
Army plans to further investigate the nature and extent of PFAS contamination in the CERCLA Remedial Investigation.