Skip to main content

Franklin Village Area (Franklin Village, Oakland County)

Disclaimer: Web content may not be routinely updated on this page.

Please contact the Site Lead for the most up-to-date status of this site.

EGLE site lead

Kimberly Ethridge, EthridgeK@Michigan.gov or 586-324-0183.

Background

Franklin Village Area (Site) consists of multiple addresses located on Franklin Road between Evelyn Court and Vincennes Avenue/Ravine Drive. The area consists of a former gas station, auto repair, and dry cleaner, and Franklin Fire Station. Since 2017, EGLE has conducted contamination investigation, which has included soil, groundwater, and vapor sampling in this area to determine if risks to human health and the environment remain from past use of various chemicals at this site. Historical blacksmithing, manufacturing, garbage dumping, fires and potential use of AFFF are possible sources of PFAS.

Franklin Village Area is just to the west of the Rouge River (Rouge). Groundwater flow direction is east-northeast toward the Rouge River. The average known groundwater depth of EGLE's investigated area is 20 feet below ground. A continuous sandy aquifer extends to at least 200 feet below ground, according to community drinking water well logs. Most drinking water wells are screened in the aquifer ranging from 100-200 feet below ground. Five residential wells were sampled for PFAS and all were non-detect.

Content posted January 2021.

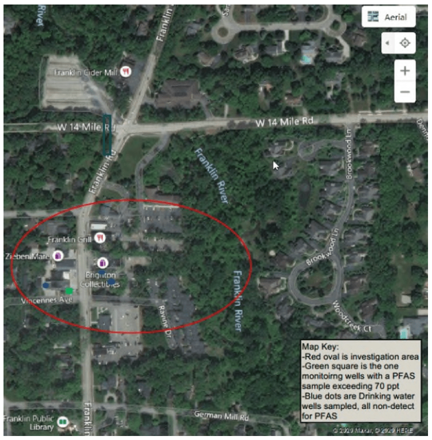
Franklin Village Plaza Map

Site map

See an aerial view of the location of the site.

Expand the map

Drinking water

EGLE is working with the local health department to determine residential wells in the area for possible sampling in the future, if needed. Five residential wells were sampled for PFAS and all were non-detect. In the future, if any residential wells sampled exceed Part 201 PFAS criteria, the Public Health Action Plan's remedies will be utilized. The Great Lakes Water Authority water supply line is ¼-mile to the north and accessible to hook up to if necessary.

Anticipated activities

EGLE plans to continue to sample PFAS in 2021: semi-annually at some monitoring wells including MW-30S, and annually at selected residential wells. EGLE is evaluating groundwater remedial actions to address PFAS and non-PFAS contamination in the area in 2021 and beyond.

Historical timeline

  • Historical Timeline

    • In February 2019, EGLE's contractor, AECOM collected seven PFAS samples.  Four samples were collected from monitoring wells and three samples from drinking water wells (at the fire station and two local businesses).  All seven PFAS samples were below Part 201 criteria.
    • In May 2019, AECOM collected PFAS samples from three drinking water wells:  The Franklin Village Plaza a Part 201 Site, the Slade House neighbor to the south of Franklin Village Plaza, and the Franklin Fire station’s Type II well to the west that also services the residence west of the Fire Station, Franklin Auto Repair, and two commercial businesses to the north.  All three samples were non-detect from drinking water wells, and results were communicated to property owners.
    • In March 2020, AECOM collected 18 samples for PFAS analysis from various monitoring wells around the site.  One monitoring well, MW-30S, had a concentration of 64 ppt PFOS, which exceeded the EGLE groundwater-surface water interface (GSI) criteria of 12 ppt.  MW-30S also had PFOS+PFOA at 103 ppt which exceeded the PFOS+PFOA = 70 ppt Part 201 drinking water criteria. In May and June 2020, EGLE consulted with MPART, DHHS, Oakland County Health Department, and Franklin Village to evaluate the PFAS sample results, and discuss next steps, including addition as an MPART Site.  

    Historical Sampling Chart: Data is reflective of criteria prior to August 3, 2020,  PFOS and PFOA Only

    This chart reflects data received prior to August 3, 2020.

    Type of Sample

    Date Sampled (or Range)

    Number of Samples

    Number of Results Received

    Number of Non-Detects  Number Between Non-detect and Standard*  Number Greater Than or Equal to Standard 

    Drinking Water

    May 2019 7 7 7 0 0
    Groundwater February 2019 and February 2020 26 26 20 6 2
    Cumulative 33 33 27 6 2
    *Groundwater results are compared to EGLE Part 201 Criteria of 70 ppt PFOS+PFOA.
    * Residential well results are compared to EPA LHA of 70 ppt PFOS+PFOA.
    • In July 2020, AECOM collected PFAS samples from four drinking water wells:  Re-samples at the Franklin Fire Station and Slade House, and two other residences.  Results of all four drinking water wells were non-detect, and owners were notified in letters from EGLE and MDHHS.  Also, AECOM re-sampled monitoring well MW-30S for PFAS analysis.  MW-30S, screened at 15-20 feet below ground surface, measured a concentration of 210 ppt PFHxS, 53 ppt PFOA, & 170 ppt PFOS.  The groundwater sample results at MW-30S exceeded the former PFOS+PFOA = 70 ppt drinking water criteria and exceed EGLE’s Current Part 201 drinking water criteria for PFOS, PFOA & PFHxS, and Part 201 groundwater to surface water interface (GSI) criteria for PFOA & PFOS.   Due to this one MW’s Part 201 criteria exceedances, in two separate sampling events, it became an MPART Site in July 2020.
    • On July 15, 2020, EGLE consulted with MPART, MDHHS, Oakland County Health Department, and Franklin Village to evaluate the PFAS sample results, and discuss next steps

    Sampling Notes

    • The sampling chart does not reflect the July samples collected.  The chart will be updated once results are shared with property owners.