The web Browser you are currently using is unsupported, and some features of this site may not work as intended. Please update to a modern browser such as Chrome, Firefox or Edge to experience all features Michigan.gov has to offer.
Rouge River Watershed
The Rouge River and its tributaries flow approximately 570 miles through Wayne, Washtenaw, and Oakland Counties and drains approximately 466 square miles of Southeast Michigan. The Rouge River has four branches (Main, Upper, Middle, and Lower). The Main Branch Rouge River originates in Rochester Hills and flows in a south/southeast direction. The Upper, Middle, and Lower Rouge Rivers originate near West Bloomfield Township, the City of Wixom, and Superior Township. The Upper, Middle, and Lower Rouge River meet with the Main Branch Rouge River near Redford Township, Dearborn Heights, and Dearborn, respectively. From Dearborn, the Main Branch Rouge River flows east/southeast through a heavily industrialized area before entering the Detroit River near Delray.
The Michigan Department of Environment, Great Lakes, and Energy (EGLE) first analyzed per- and polyfluoroalkyl substances (PFAS) in surface water in 2001 when 21 streams, including the Rouge River, were sampled for perfluorooctanesulfonic acid (PFOS) and perfluorooctanoic acid (PFOA). The study found varying levels of PFOA and PFOS in the Rouge River. At that time, there were no water quality standards for these compounds in surface water, however, the concentrations measured in 2001 do not exceed the surface water quality standards for PFOS or PFOA that exist today.
As a part of routine monitoring, EGLE's Fish Contaminant Monitoring Program collected fish from the Rouge River in October 2019. Fish were collected from the Rouge River downstream of the confluence with the Lower Rouge River and from the Newburgh Lake impoundment of the Middle Branch of the Rouge River. These samples were processed as fillets and analyzed for PFAS as well as other contaminants. Results are discussed below.
Surface water from the river near its confluence with the Detroit River was sampled for PFAS again in November 2019 after the Wyandotte Municipal Services drinking water plant returned an abnormally high detection of PFOS and perfluorohexane sulfonate (PFHxS) in raw and finished water samples in August 2019. PFOS and PFOA concentrations in these surface water samples were below three parts per trillion (ppt). For reference, concentrations of PFOS and PFOA less than two ppt are considered background levels in surface water.
Reports
Next Steps
- In 2022, EGLE plans to collect additional fish from the Lower Branch of the Rouge River for PFAS and other contaminant analyses.
- EGLE will use the October 2020 surface water sample data to continue our PFAS source tracking efforts within the watershed in order to identify potential sources.
- Beginning in 2020, Wyandotte Municipal Services drinking water plant and GLWA have performed compliance monitoring for the seven PFAS compounds with Maximum Contaminant Levels.
- From April through September 2022 the Wyandotte Municipal Services drinking water plant intake will be sampled weekly for PFAS, as will both the adjacent GLWA intake near Fighting Island and the City of Monroe intake on Lake Erie.
-
Fish sampling information
As of May 2022, the Michigan Department of Environment, Great Lakes, and Energy has collected the following fish samples from the Rouge River watershed. The fillets have been or will be analyzed for PFAS and other contaminants. The Michigan Department of Health and Human Services continues to evaluate the data, as it becomes available, to determine if "Eat Safe Fish" consumption advisories are warranted. Anglers should refer to the advice for the Rouge River posted on the Michigan Eat Safe Fish website.
Water Body
Sampling Location
Latitude
Longitude
Species
Collection Year
PFOS (ppb) Range
Rouge River, Main Branch
W. 9-mile Rd
42.4568
-83.3060
Rock Bass
2021
38.3 – 111
Rouge River, Main Branch
W. 9-mile Rd
42.4568
-83.3060
White Sucker
2021
5.8 – 15.1
Rouge River, Main Branch
d/s Lower Rouge River Confluence
42.3108
-83.2289
Yellow Perch
2019
5.3 – 11.1
Rouge River, Main Branch
d/s Lower Rouge River Confluence
42.3108
-83.2289
Rock Bass
2019
7.1 – 20.3
Rouge River, Main Branch
Turning Basin
42.2980
-83.1557
Bluegill
2021
5.8 – 48.3
Rouge River, Middle Branch
Newburgh Lake
42.3657
-83.4212
Largemouth Bass
2019
24.6 – 129
Rouge River, Middle Branch
Newburgh Lake
42.3657
-83.4212
Bluegill/
Pumpkinseed
2019
ND – 40.7
Rouge River, Middle Branch
Wilcox Lake
42.3844
-83.4595
Bluegill/
Pumpkinseed
2021
7.3 – 36.2
Rouge River, Middle Branch
Phoenix Lake
42.3951
-83.4666
Pumpkinseed
2021
7.6 – 32.7
Rouge River, Lower Branch
Goudy Park
42.2851
-83.3824
Pending
2022
Pending
Rouge River, Lower Branch
Goudy Park
42.2851
-83.3824
Pumpkinseed
2021
41.6 – 1,741
Rouge River, Lower Branch
Goudy Park
42.2851
-83.3824
White Sucker
2021
7.7 – 31.7
Rouge River, Lower Branch
Goudy Park
42.2851
-83.3824
Carp
2021
19.9 – 326
Johnson Creek
6-mile Rd
42.4083
-83.5169
White Sucker
2021
Pending
Johnson Creek
Fish Hatchery Park
42.4242
-83.4917
Brown Trout
2021
5.7 – 49.5
Investigation Timeline
-
2018
July
- July 2018 – EGLE received groundwater results from Revitalizing Auto Communities Environmental Response Trust (RACER) of PFAS samples collected from existing monitoring wells on-site at the RACER Eckles Road property. Results confirmed some samples exceeded the groundwater water cleanup criteria at the time of 70 ppt PFOS + PFOA.
October
- October 10 – RACER 12950 Eckles Road became an official MPART site.
-
2019
February
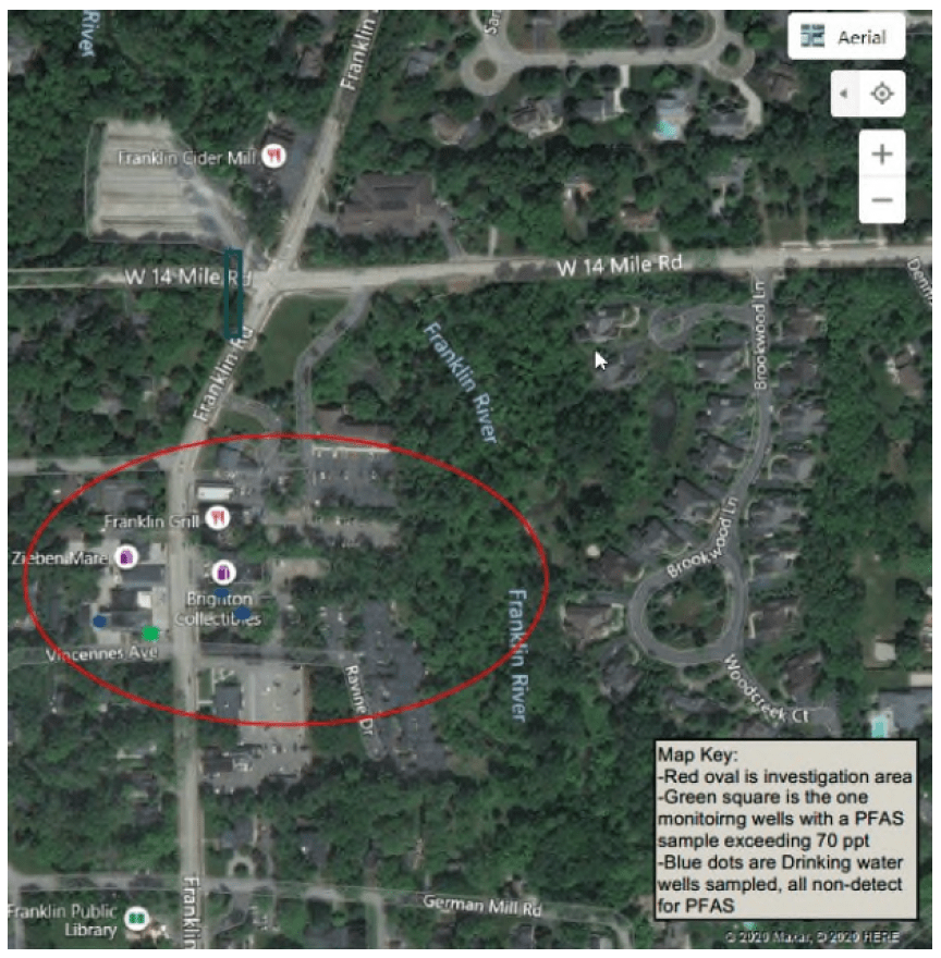
- February – Three samples from drinking water wells were collected from the Franklin Village Area investigation. The investigation area consists of multiple addresses located on Franklin Road between Evelyn Court and Vincennes Avenue/Ravine Drive. The area consists of a former gas station, auto repair, and dry cleaner, and Franklin Fire Station. Since 2015, EGLE has conducted contamination investigation which has included soil, groundwater, and vapor sampling in this area to determine if risks to human health and the environment remain from past use of various chemicals at this site. Historical blacksmithing, manufacturing, garbage dumping, fires, and potential use of AFFF are possible sources of PFAS. The results for three drinking water well samples were non-detect for all tested PFAS compounds.
Franklin Village Area investigationApril
- April – EGLE requested Advanced Disposal Services Arbor Hills Landfill collect PFAS samples of groundwater and leachate. The purpose of the PFAS sampling was to provide information on the composition of groundwater and leachate at the site.
July
- July 12 – EGLE issued a letter to Wayne County Airport Authority – Willow Run Airport requiring the facility to conduct a PFAS Short-Term Storm Water Characterization Study (STSWCS) to ensure storm water discharges are not causing or contributing to a violation of Water Quality Values.
August
- August 27 – As one of approximately 70 community water supplies in Michigan that utilize surface water as a source, Wyandotte Municipal Services drinking water plant participated in monthly sampling for PFAS in raw and finished water in. On this date, the fifth of six-monthly samples was collected. This sample had abnormally high PFAS results compared to those found in the previous four months. (See October 8, for results).
- August 30 – EGLE received groundwater sampling results from an initial PFAS investigation of the on-site groundwater at the Schaefer Road Area Wastewater Treatment Plant (red site boundary) located adjacent to the Rouge River and the Rouge Manufacturing Complex at 3001 Miller Road. The Rouge Manufacturing Complex consists of AK Steel Company-Dearborn Works and Ford Motor Company-Rouge Center. The PFAS sampling event included groundwater samples from 21 monitoring wells. Concentrations of PFOS detected in three monitoring wells exceeded the Groundwater-Surface Water Interface criteria of 12 ppt. The combined concentrations of PFOS and PFOA in two monitoring wells exceeded the groundwater water cleanup criteria at the time of 70 ppt PFOS + PFOA.
September
- September 24 – Regularly-scheduled monthly PFAS samples (month six of six) collected at the Wyandotte Municipal Services drinking water plant. The results were non-detect for all tested PFAS compounds.
- September – EGLE received a summary from Advanced Disposal Services Arbor Hills Landfill of groundwater sample results collected on June 11, and August 6,. The combined concentrations of PFOS and PFOA in one monitoring well exceeded the groundwater water cleanup criteria at the time of 70 ppt PFOS + PFOA.
October
- October 8 – EGLE collected fish from the Rouge River downstream of the Lower Rouge River confluence.
- October 8 – EGLE received the results of the August 27,, sample event at the Wyandotte Municipal Services drinking water plant, which had abnormally high levels of PFOS and PFHxS in both raw water (49 ppt PFOS and 6 ppt PFHxS) and treated water (26 ppt PFOS and 4 ppt PFHxS).
- October 9 – EGLE and Michigan Department of Health and Human Services (MDHHS) staff met to discuss the drinking water sample results and mobilized EGLE’s contractor, AECOM, to begin weekly sampling of raw and treated water at the Wyandotte Municipal Services drinking water plant, as well as the nearby Great Lakes Water Authority Southwest (GLWA SW) Plant. Over the course of several meetings through January, EGLE and MDHHS discussed additional steps to conduct source tracking through surface water sampling and direct discharge sampling of National Pollutant Discharge Elimination System permitted industries.
- October 18 – First weekly round of PFAS samples collected at the Wyandotte Municipal Services drinking water plant and GLWA SW Plant. The results were non-detect for all tested PFAS compounds.
- October 22 – EGLE sampled the permitted discharge (noncontact cooling water) for PFAS at Dearborn Industrial Generation Plant. Two samples were collected at monitoring points of their discharge to the Rouge River.
- October 22 – EGLE collected fish from the Newburgh Lake impoundment of the middle branch of the Rouge River.
- October 24 – Second weekly round of PFAS samples collected at the Wyandotte Municipal Services drinking water plant and GLWA SW Plant. The results were non-detect for all tested PFAS compounds.
- October 29 and 30 – EGLE sampled the permitted discharge (treated process wastewater and storm water) for PFAS at AK Steel Company-Dearborn Works (which is part of the Rouge Manufacturing Complex). Ten samples were collected at monitoring points of their discharges to the Rouge River.
- October 30 – EGLE sampled the permitted discharge (noncontact cooling water and storm water) for PFAS at the Ford Motor Company-Rouge Center (which is part of the Rouge Manufacturing Complex).
- October 31 – EGLE sampled the permitted discharge (treated process wastewater and storm water) for PFAS at the Double Eagle Steel Coating Company. Two samples were collected at monitoring points of their discharges to the Rouge River.
- October 31 – Third weekly round of PFAS samples collected at the Wyandotte Municipal Services drinking water plant and GLWA SW Plant. The results were non-detect for all tested PFAS compounds.
November
- November 7 – Fourth weekly round of PFAS samples collected at the Wyandotte Municipal Services drinking water plant and GLWA SW Plant. The results were non-detect for all tested PFAS compounds.
- November 11 - EGLE received results of the sampling at Dearborn Industrial Generation. PFOS was 1.6 ppt and 1.8 ppt at the two monitoring points. PFOA was 1.7 ppt and 1.5 ppt.
- November 11 – EGLE received the first set of results for outfall sampling from Willow Run Airport as part of their Short-Term Storm Water Characterization Study. Four separate sampling events were reported and included 9 exceedances of WQV for PFOS, with the highest concentration being 240 ppt.
- November 14 – Fifth weekly round of PFAS samples collected at the Wyandotte Municipal Services drinking water plant and GLWA SW Plant. The results were non-detect for all tested PFAS compounds.
- November 20 – EGLE staff collected surface water samples on the Rouge, Ecorse, and Detroit Rivers in response to the PFAS detections at the Wyandotte Municipal Services drinking water plant.
- November 20 – Sixth weekly round of PFAS samples collected at the Wyandotte Municipal Services drinking water plant and GLWA SW Plant. The results were non-detect for all tested PFAS compounds. Having observed six weeks of weekly sample results without PFAS detections in raw or finished water, Wyandotte transitioned to continued quarterly monitoring consistent with a detection > 10 ppt total tested in their finished water (see March 27, 2020).
- November 21 – EGLE received the results of the outfall discharge sampling at AK Steel Company-Dearborn Works. The discharge includes treated process wastewater and storm water. PFOS results at the ten monitoring points ranged from 3.9 ppt to less than 1.6 ppt. PFOA ranged from 2.3 ppt to less than 1.6 ppt.
- November 21 – EGLE received the results of the outfall discharge sampling at Double Eagle Steel Coating Co. The discharge includes treated process wastewater and storm water. PFOS was 3.6 ppt and 1.6 ppt and PFOA was less than 1.7 ppt at both monitoring points.
- November 25 – EGLE received the results of the outfall discharge sampling at Ford Motor Company-Rouge Center. The discharge includes noncontact cooling water and storm water. PFOS was 3.7 ppt and PFOA was 2.3 ppt.
December
- December 21 – EGLE received results for the surface water samples collected on November 20. Data is compared to the surface water criteria (12 ppt PFOS and 12,000 ppt PFOA). PFOS and PFOA concentrations in the Rouge River and in the Detroit River downstream of the Rouge River were below three ppt. In October 2020, EGLE conducted a study to investigate potential sources of PFAS to the Rouge River watershed, described below.

Map of Rouge River confluence with Detroit River showing results of PFOS sampling conducted on November 20, 2019 -
2020
January
- January 17 – EGLE received a second round of results from Willow Run Airport’s outfall sampling effort. One additional sampling event for two outfalls resulted in two exceedances of the PFOS WQV, 55 & 58 ppt.
February
- February 26 – Seven residential water samples and one Type II water supply sample were collected for PFAS south of the Advanced Disposal Arbor Hills Landfill. The results showed that none of the water tested was above the groundwater water cleanup criteria at the time of 70 ppt PFOS + PFOA.
March
- March 6 – EGLE received funding to determine the presence of PFAS in public water supplies around the state. AECOM was mobilized to continue quarterly PFAS sampling of approximately 80 public select water supplies in Michigan. These included all supplies which had returned detections of at least 10 ppt total tested PFAS in finished water and included the Wyandotte Municipal Services drinking water plant treated drinking water.
- March 9 -12 – Fifteen samples were collected from various monitoring wells around the Franklin Village Area investigation to be analyzed for PFAS. One monitoring well sample result exceeded the groundwater water cleanup criteria at the time of 70 ppt PFOS + PFOA.
- March 11 – EGLE received groundwater and storm water sampling results from an initial PFAS investigation of on-site groundwater and storm water at the Rouge Manufacturing Complex (orange site boundary) located adjacent to the Rouge River at 3001 Miller Road. The PFAS sampling event included groundwater samples from 11 groundwater sample locations, 13 dry weather storm water sample locations, and 3 wet weather storm water sample locations. Concentrations of PFOS detected in 5 groundwater sample locations exceeded the Groundwater Surface Water criteria of 12 ppt. Combined concentrations of PFOS and PFOA in three groundwater sample locations exceeded the groundwater cleanup water criteria at the time of 70 ppt PFOS + PFOA. Two storm water sample locations exceeded the surface water quality standard of 12 ppt.
- March 27 – First quarterly round of PFAS sample collected at the Wyandotte Municipal Services drinking water plant as part of the statewide sampling effort. The results for Wyandotte were non-detect for all tested PFAS compounds tested.)
- March 30 – EGLE requested a workplan to further delineate the nature and extent of PFAS contamination at the Schaefer Road Area Wastewater Treatment Plant located adjacent to the Rouge River and the Rouge Manufacturing Complex at 3001 Miller Road. The workplan also included evaluating the potential for off-site movement or discharge of PFAS to the Rouge River and consideration of the new PFAS criteria to be implemented.
- March 31 – Advanced Disposal Arbor Hills Landfill became an official MPART site.
May
- May 18 – EGLE received a revised work plan from Schaefer Road Area Wastewater Treatment Plant responding to our March 30 letter requesting further investigation and delineation of PFAS.
- May 23 – EGLE received PFAS results for fish collected from the Rouge River downstream of the Lower Rouge River confluence. While PFOS was detected in these fish, the current fish consumption advisory in place for this stretch of the river is due to PCBs and/or mercury. Anglers should visit the MDHHS Eat Safe Fish Guides for fish consumption guidance.
June
- June 24 – Second quarterly round of PFAS sample collected at the Wyandotte Municipal Services drinking water plant. The results were non-detect for all tested PFAS compounds.
July
- July 15 – Franklin Village Area became an official MPART site.
August
- August 21 – EGLE received PFAS results for fish collected from the Newburgh Lake impoundment of the Middle Branch of the Rouge River. While PFOS was detected in these fish, the current fish consumption advisory in place for this stretch of the river is due to PCBs and/or mercury. Anglers should visit the MDHHS Eat Safe Fish Guides for fish consumption guidance.
September
- September 9 – The Rouge Manufacturing Complex became an official MPART site. The Rouge Manufacturing Complex also encompasses the Schaefer Road Area Wastewater Treatment Plant.
- September 15 – EGLE provided further comments on the May 18 Schaefer Road Area Wastewater Treatment Plant workplan and asked for further investigation and delineation of PFAS.
October
- October 8 – EGLE hosted a virtual PFAS Community Update meeting to provide information about PFAS testing of the area drinking water supplies and waterways, as well as investigations into sources of PFAS contamination in the Dearborn, Detroit, and Melvindale areas.
- October 8, 2020 Community Update for Detroit, Dearborn, and Melvindale Areas
- October 19 and 20 – EGLE collected surface water samples throughout the Rouge River watershed for PFAS analysis.
- October 20 and 21 – Wyandotte Municipal Services Drinking Water Plant collected their first quarterly Compliance Monitoring drinking water sample for PFAS. The results were non-detect for all tested PFAS compounds.
- October 21 – EGLE received PFAS results for bluegill and pumpkinseed collected from the Newburgh Lake impoundment of the Middle Branch of the Rouge River. While PFOS was detected in these fish, the current fish consumption advisory in place for this stretch of the river is due to PCBs and/or mercury. Anglers should visit the MDHHS Eat Safe Fish Guides for fish consumption guidance.
November
- November 12 – EGLE received the results from the October surface water sampling in the Rouge River watershed. Three samples exceeded the surface water quality standard for PFOS. The Horner and Sines Drain, both downstream of the Willow Run Airport, had a PFOS concentration of 429 ppt and 84.8 ppt, respectively. The McClaughrey Drain had a PFOS concentration of 14.5 ppt.
Map of PFOS results in the Sines Drain and Horner Drain.

Map of PFOS results in the McClaughrey Drain and Lower Rouge River. -
2021
January
- January 20 - First of six bi-monthly rounds of 2021 PFAS raw water intake samples collected at the Wyandotte Municipal Services drinking water plant. The results were non-detect for all tested PFAS compounds.
February
- February 8 - Wyandotte Municipal Services drinking water plant compliance monitoring sample was collected. The results were non-detect for all tested PFAS compounds.
- February 16 – EGLE issued a Compliance Communication letter to Hajjar Plating requiring the facility to conduct a PFAS Short-Term Storm Water Characterization Study (STSWCS) to ensure storm water discharges are not causing or contributing to a violation of Water Quality Values.
March
- March 8 - Second of six bi-monthly rounds of 2021 PFAS raw water intake samples collected at the Wyandotte Municipal Services drinking water plant. The results were non-detect for all tested PFAS compounds.
- March 18 – EGLE issued a letter to Sauk Trail Hills Landfill and Woodland Meadows-Van Buren Landfill requiring sampling of leachate and select groundwater monitoring wells for PFAS and 1, 4-dioxane.
- March 26 – EGLE received round one of Hajjar Plating’s PFAS STSWCS. The facility is currently in process of completing additional rounds of their STSWCS to characterize storm water being discharged from the facility. Completion of the study is expected in late 2022.
April
- April 27 - Wyandotte Municipal Services drinking water plant compliance monitoring sample was collected. The results were non-detect for all tested PFAS compounds.
May
- May 12 - Third of six bi-monthly rounds of 2021 PFAS raw water intake samples collected at the Wyandotte Municipal Services drinking water plant. The results were non-detect for all tested PFAS compounds.
June
- June 10 – Bluegill and pumpkinseed were collected from the Wilcox Lake impoundment of the Middle Branch of the Rouge River.
- June 15 – Bluegill were collected from the main branch of the Rouge River in the turning basin.
- June 17 – White sucker, pumpkinseed, and carp were collected from the Lower Branch of the Rouge River at Goudy Park.
- June 17 – Rock bass and white sucker were collected from the main branch of the Rouge River at West Nine Mile Road.
July
- July 1 – Pumpkinseed were collected from the Phoenix Lake impoundment of the Middle Branch of the Rouge River.
- July 13 - Fourth of six bi-monthly rounds of 2021 PFAS raw water intake samples collected at the Wyandotte Municipal Services drinking water plant. The results were non-detect for all tested PFAS compounds.
August
- August 5 – Brown trout were collected from Johnson Creek at Fish Hatchery Park and white suckers were collected further upstream at Six Mile Road.
- August 3 - Wyandotte Municipal Services drinking water plant compliance monitoring sample was collected. The results were non-detect for all tested PFAS compounds.
September
- September 14 - Fifth of six bi-monthly rounds of 2021 PFAS raw water intake samples collected at the Wyandotte Municipal Services drinking water plant. The results were non-detect for all tested PFAS compounds.
October
- October 13 - Wyandotte Municipal Services drinking water plant compliance monitoring sample was collected. The results were non-detect for all tested PFAS compounds.
November
- November 9 - Sixth of six bi-monthly rounds of 2021 PFAS raw water intake samples collected at the Wyandotte Municipal Services drinking water plant. The results were non-detect for all tested PFAS compounds.
December
- In 2021 EGLE conducted source water (raw) sampling at all community water supplies in Michigan which utilize surface water as a source. This list included Wyandotte Municipal Services drinking water plant and GLWA.
- December 2 –Tribar Manufacturing, LLC Plant 4 (Tribar) has voluntarily agreed to enter an Administrative Consent Order (ACO) to address storm water being discharged from the facility. Storm water from the property travels to the Rouge River Watershed, while the industrial and sanitary discharges ultimately go to the Huron River Watershed via the Wixom WWTP.EGLE is currently drafting the ACO to be presented to Tribar for comment.
- December 8 - Wyandotte Municipal Services drinking water plant compliance monitoring sample was collected. The results were non-detect for all tested PFAS compounds.
-
2022
January
- January 10 – EGLE received PFAS results for the brown trout collected from Johnson Creek and the rock bass collected from the main branch of the Rouge River at West Nine Mile Road. View the summary table of current fish results.
- January 19 – EGLE received PFAS results from the bluegill collected from the main branch of the Rouge River in the turning basin, the white suckers collected from the main branch of the Rouge River at West Nine Mile Rd, and the pumpkinseed and white suckers collected from the Lower Branch of the Rouge River at Goudy Park. View the summary table of current fish results.
- January 19 - Wyandotte Municipal Services drinking water plant compliance monitoring sample was collected. The results were non-detect for all tested PFAS compounds.
- January 31 – EGLE received PFAS results from the pumpkinseed and bluegill collected from the Wilcox Lake impoundment of the Middle Branch of the Rouge River, the carp collected from the Lower Branch of the Rouge River at Goudy Park, and the pumpkinseed collected from the Phoenix Lake impoundment of the Middle Branch of the Rouge River.
February
- February 3 – EGLE received additional storm water sample results from Willow Run Airport that included exceedances of PFOS as high as 610 ppt. EGLE has requested an additional round of outfall sampling for seven of the nine outfalls at the airport. These additional samples will complete Willow Run’s STSWCS obligations and EGLE will move forward working with Willow Run on next steps to address PFAS at the airport.
- February 22 - Wyandotte Municipal Services drinking water plant compliance monitoring sample was collected. The results were non-detect for all tested PFAS compounds.
- February 25 – EGLE received the results of PFAS and 1,4-dioxane sampling conducted by Sauk Trail Hills Landfill on November 29 and 30, 2021 at six groundwater wells. The PFAS results were non-detect for all PFAS analyzed. In addition, the 1,4-dioxane results were non-detect.
March
- March 16 - Wyandotte Municipal Services drinking water plant compliance monitoring sample was collected. The results were non-detect for all tested PFAS compounds.


